近日,天津轨道交通建设又有2条线路公布了最新动态:
宁河区发改委的公告显示,市域郊铁路宁河线已启动前期招标工作,内容涉及风险评估、客流预测等,标志着线路一期工程建设日渐临近。
而武清区发改委的公告显示,武清区市域铁路详细规划项目已成交。
宁河区市域郊铁路


规划显示,宁河区市域郊铁路,起于宁河区芦台镇,经经济开发区、七里海镇、北淮淀镇、未来科技城、东丽湖至经三路站。
该线路全长约51.5公里,沿途设站7座,后期计划与Z2线共线至金钟河大街。另据滨海新区政府6月1日回应,滨铁3号线(Z2线)预计2020年第4季度可实现开工。
“通武廊”轻轨路线

按照规划,“通武廊”轻轨线路从北辰区地铁5号线北辰科技园北延伸到武清区,到达武清区后改为地上轻轨线路,然后一直延伸到河北省廊坊,和当地规划兴建的北三县轻轨连接,最后直接到达北京城市副中心──通州区。

截至目前,武清区市域(郊)铁路项目在武清区范围内已经透露出三个点,以及一段路程的走向。
第一点:天和路
此前早些时候:天津市武清区行政审批局将天津市武清区津武(挂)2019-011地块一期项目总平面图进行公示。

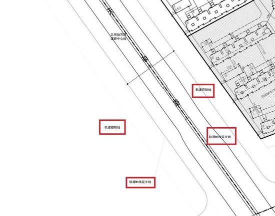
在规划图的左下角标注有“轨道M5线延长线”和“轨道控制线”,标注控制范围为,天和路两侧,天和路两侧都有该标记。

此前与该地块同时出让的处于该地块西侧(天和路)的010地块,该地块也明确了,轨道交通控制线正好与本次公布的011地块轨道交通控制线相互印合。津武(挂)2019-010号地块挂牌文件注明“2。该地块东侧为规划轨道M5线延长线,建筑与其间距应满足相关规范要求。”

第二点:南湖站点曝光
武清区2019-2020年优质土地推介文件里暴露通武廊轻轨南湖站点信息。
下图是武清区2019-2020年优质土地推介里的一幅图。根据该图,发现了通武廊轻轨[市域(郊)铁路]在南湖的确切站点。

关于这个地方是轨道交通站点,此前政民零距离也有过明确回复。

站点大体位置如下图所示↓↓

第三点:途经京能项目
此前消息:天津市武清区行政审批局按照住房城乡建设部印发的《关于城乡规划公开公示的规定》以及相关规定要求,将天津市武清区津武(挂)2018-060居住项目总平面图进行公示。

图上写着“规划市域轨道S2线”以及“规划轨道控制线”。

第四段:京津产业新城向北沿103国道
早些时候,武清区南蔡村镇总体规划(2010-2020年)修改已经区政府批复,增加了一条市域轨道。这条市域轨道从泗村店方向一直向北,穿过南蔡村镇以后,沿103国道一直北向而去。(见图中黑色方块内的内容)








